ไต้หวันเตือนประชาชนตามแนวชายฝั่งตะวันออกเตรียมรับมือผลกระทบจากซูเปอร์ไต้ฝุ่น “กองเร็ย” ที่ทวีกำลังอย่างรวดเร็วขณะเคลื่อนตัวมุ่งหน้าสู่ไต้หวัน
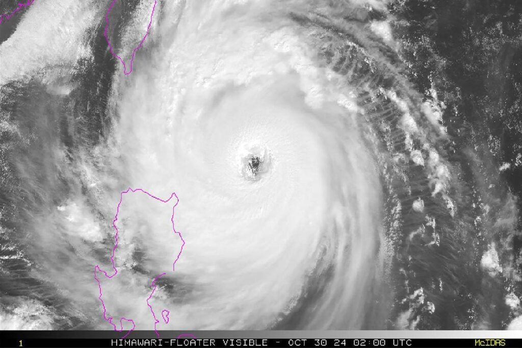
ศูนย์เตือนภัยไต้ฝุ่นร่วม (JTWC) ระบุว่า พายุไต้ฝุ่นกองเร็ย ซึ่งกำลังเคลื่อนตัวไปทางตะวันตกเฉียงเหนือในทะเลฟิลิปปินส์ ได้ทวีกำลังเป็นซูเปอร์ไต้ฝุ่นเมื่อวันที่ 30 ต.ค. ด้วยความเร็วลมใกล้จุดศูนย์กลาง 240 กม./ชม. หรือเทียบเท่ากับพายุเฮอร์ริเคนระดับ 4
สำนักงานอุตุนิยมวิทยากลางของไต้หวัน (CWA) คาดว่าขอบนอกของพายุจะมาถึงตะวันออกเฉียงใต้ของไต้หวันช่วงเช้าวันที่ 31 ต.ค. ก่อนจะขึ้นฝั่งทางตอนใต้ของเมืองฮัวเหลียนระหว่างช่วงบ่ายและเย็น
พยากรณ์อากาศคาดว่า พายุอาจอ่อนกำลังลงเล็กน้อยกดพัดขึ้นฝั่ง แต่จะยังทำให้เกิดฝนตกหนัก น้ำท่วมฉับพลัน คลื่นพายุซัดฝั่ง และความเสี่ยงที่จะเกิดดินถล่ม
สำนักงานอุตุนิยมวิทยาไต้หวันได้ออกประกาศเตือนภัยทางบกในเขตต่างๆ ครึ่งเกาะเมื่อวันที่ 30 ต.ค. ขณะที่ทางการไต้หวันประกาศระงับบริการเรือข้ามฟาก ปิดอุทยานแห่งชาติ และริมฝั่งแม่น้ำในบริเวณกรุงไทเป ก่อนที่พายุไต้ฝุ่นกองเร็ยจะมาถึง
เกาะที่อยู่รอบนอก 2 เกาะ ได้แก่ เกาะกรีน และเกาะออร์คิด ประกาศหยุดงานและงดการเรียนการสอน
ด้านกองทัพไต้หวันระดมกำลังทหาร 36,000 นาย เตรียมพร้อมช่วยเหลือปฏิบัติการกู้ภัยและบรรเทาทุกข์
ไต้หวันมีประวัติในการรับมือพายุไต้ฝุ่นลูกใหญ่ได้ดี แม้ว่าหมู่บ้านที่อยู่ห่างไกลในเขตที่เป็นภูเขาจะมีความเสี่ยงต่อการเกิดดินถล่มเป็นพิเศษ
ทั้งนี้ เมื่อต้นเดือนที่ผ่านมา ไต้หวันเพิ่งเผชิญกับพายุไต้ฝุ่นกระท้อนที่ทำให้เกิดฝนตกหนักทางตอนใต้ของเกาะ และทำให้มีผู้เสียชีวิต 4 คน

ข้อมูล/ภาพ : พีพีทีวี


